1136 Morley Avenue Se, Atlanta, GA

$600,000

Previous Next

0.26

Acres

About 1136 Morley Avenue Se

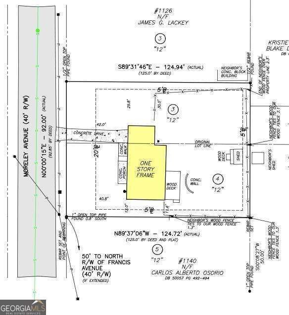
1136 Morley Avenue SE is a rare opportunity in Boulevard Heights, one of Atlanta's fastest-growing and most walkable neighborhoods. Sitting on a large 11,500 sq ft lot, this property gives you options: renovate the existing home, build a brand-new custom house, or subdivide the lot and build two new single-family homes. The lot already meets the city's requirements to be split - each piece must be at least 2,800 sq ft with 40 feet of frontage - so no rezoning is needed. The subdivision process is pretty simple: attend a planning meeting (held twice a month), submit your application online, and expect a review time of around 60 days. After that, the city forwards the final plat for recording. What truly makes this property special is its unbeatable location, just a short walk to THREE BeltLine entrances. That means easy access to hotspots like Grant Park, Summerhill, The Beacon, Zoo Atlanta, East Atlanta Village, and more. Plus, BeltLine construction in this area will be finished by Fall 2025, and full access to West Midtown and Ansley Park is expected by 2026. Whether you're a builder looking to get started or an investor searching for your next high-potential project, 1136 Morley combines location, flexibility, and future value in one of the city's most exciting areas.

Features of 1136 Morley Avenue Se

MLS® # 10584694
Price $600,000
Bathrooms 0.00
Acres 0.26
Type Land
Sub-Type Residential Lot
Status Active
Basement No

Community Information

Address 1136 Morley Avenue Se
Subdivision Boulevard Heights
City Atlanta
County Fulton
State GA
Zip Code 30312

Amenities

Utilities Cable Available, Electricity Available, Natural Gas Available, Phone Available, Sewer Available, Water Available
Is Waterfront No
Has Pool No

Interior

Has Basement No
Fireplace No

Exterior

Lot Description Level

School Information

Elementary Parkside
Middle King
High MH Jackson Jr

Additional Information

Days on Market 33
Foreclosure No
Short Sale No
RE / Bank Owned No

Listing Details

OfficeThe Rezerve

Listing Map

Request a Showing

Provide a valid email address.
When would you like to view this property?